
Денешен
(ВИДЕО) Масовна тепачка на улиците на Пиза (ВИДЕО)
Во Италија денеска избил вистински хаос пред натпреварот меѓу Пиза и Верона во рамки на седмото коло од Серија А. Пред почетокот на дуелот, кој започна во 15 часот, на улиците на Пиза дошло до жесток ...
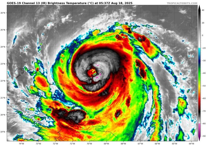
Десетици илјади евакуирани на Филипините поради ураганот „Феншен“
Десетици илјади луѓе на Филипините се евакуирани денеска од своите домови на брегот на Пацификот поради опасност од поплави во момент кога тропската бура „Феншен“ го зафати регионот, јавија светските ...
Пожар на главниот аеродром во Бангладеш ги прекина летовите
Властите во Дака ги прекинаа сите летови на Меѓународниот аеродром Хазрат Шахџалал, главниот аеродром во Бангладеш, по пожар во товарниот дел. Талха Бин Засим, портпарол на Противпожарната служба и О...
Во Пула се одржа 12. Меѓународна тркалезна маса „Македонските судбоносни и идентитетски премрежја“
Скопје, 18 окtомври 2025 (МИА) - „Македонските судбоносни и идентитетски премрежја“ беше темата на 12. Меѓународна тркалезна маса што се одржуваше на 17 и 18 октомври во Пула. Учествуваа академик Љуpч...
Службено возило од општина Дојран, без променети таблички, паркирано пред приватен дом
Општина Дојран и покрај тоа не ја испочитува одлуката на Владата и не ги промени табличките на службените возила, уште и си дозволува тие возила да се паркираат пред домот, што значи дека се користат ...
СКОПЈАНЕЦ „ЛЕТАЛ“ НИЗ СОПОТНИЦА: В.Ц. (50) возел со брзина од 106 км/ч во населено место во Демир Хисар, каде што е д...
Полициски службеници од Одделение за внатрешни работи (ОВР) Демир Хисар на патот Р-1305 во демирхисарското село Сопотница, при радарска контрола констатирале дека патничко возило „ауди” со скопски рег...
ДИГИТАЛИЗАЦИЈА НА МАКЕДОНИЈА: ЕУ ги потврди успешните дигитални реформи што се темел за подобри и побрзи услуги на гр...
Министерството за дигитална трансформација ја поздравува одлуката на Европската комисија за одобрување на второто ослободување средства за Република Македонија во рамките на Инструментот за реформи и ...
ПРОТЕСТИ „БЕЗ КРАЛЕВИ“ ВО САД: Против Трамп и Хилари Клинтон, која ги загуби изборите за претседател во 2016-та токму...
Протести на повеќе од 2.600 локации наречени „Без кралеви“ (No kings) се закажани да се одржат денеска низ сите 50 американски држави, масовна мобилизација против политиките на претседателот Доналд Тр...
ТУРИСТИЧКИ РЕКОРДИ ВО АЛБАНИЈА: За 9 месеци ја посетиле 10.228.686 туристи или неколку пати повеќе отколку што има жи...
Министерот за туризам, култура и спорт, Бленди Гонџа, на социјалните мрежи објави дека „од јануари до септември годинава, Албанија пречекала 10.228.686 туристи, што претставува зголемување од 6 отсто...
Подгответе дома коктели како професионалец – со коктел мајсторот Васил Пеевски и со Wolt
Уживајте во домашниот комфор со совршени коктели. Со Васил Пеевски, бармен и основач на Shake & Sip ви откриваме колку е едноставно да се подготви дома идеален коктел. Васил верува дека зад соврше...
УХМР: Три годишни времиња во една недела – денеска дожд, потоа до вторник стабилно, в среда пак дожд, а од четврток д...
Следува период на стабилно време, освен во среда, кога ќе има локални врнежи од дожд. Дневната температура од четврток ќе биде во пораст, соопшти Управата за хидрометеоролошки работи. Времето денеска...
ЕЛ ЧЕКА НА ФБ: Обвинителот Бектеши од Кичево му зеде 15.000 евра на иселеник, тоа објавив и порано, но не беа преземе...
Дилавер Бектеши од Кичево, обвинител близок до албанска опозициска партија, му зема 15 илјади евра на еден иселеник. Иако, ова го објавив уште порано, законот не презеде никакви мерки против него — пл...

























