
Нетпрес
Ана Тришиќ Бабиќ е назначена за в.д. претседател на Република Српска, мандатот на Додик заврши
Ана Тришиќ Бабиќ е назначена за вршител на должноста претседател на Република Српска. На нејзиното назначување му претходеше неколкучасовна дискусија во Народното собрание на Република Српска.Тришиќ Б...
Јаник Синер го освои второто издание на „кралскиот слем“ во Ријад
Италијанскиот тенисер Јаник Синер стана победник на егзибицискиот турнир „Six Kings Slam” во Ријад, главниот град на Саудиска Арабија, втора година по ред, победувајќи го Шпанецот Карлос Алкараз во фи...
Својот глас на локалните избори го дадоа 7.935 болни и изнемоштени лица и 1.400 во затворите
Од вкупно 8.856 болни или немоќни лица кои можат да го остварат своето право на глас на овие локални избори, до 20.30 часот гласале 7.935 гласачи. Од вкупно 2.162 лица кои се на издржување казна затво...
Нобеловецот Чен Нинг Јанг, кинеско-американски физичар, почина на 103-годишна возраст
Чен Нинг Јанг, еден од најпознатите светски физичари и добитник на Нобелова награда, почина од болест во саботата во Пекинг на 103-годишна возраст, објави државната новинска агенција Xinhua.Роден во и...
Бундеслига: Баерн повторно ја победи Борусија Дортмунд во дербито
Баерн Минхен ја победи Борусија Дортмунд со 2:1 на „Алијанц Арена“ во 7-то коло од германското првенство и останува единствениот непоразен тим во Бундеслигата.Баварците поведоа во 22. минута, кога Џош...
Медведев тврди дека крајот на војната значи смрт на режимот во Киев, затоа тезата на Трамп не важи овде
Заменик-претседателот на Советот за безбедност на Руската Федерација, Дмитриј Медведев, изјави дека за време на средбата со „кукавичкиот просјак“, како што го нарече Володимир Зеленски, американскиот ...
Премиер лига: Гостинска победа на Арсенал, Сити моментално втор
Фудбалерите на Арсенал по неколку часа се вратија на врвот на табелата во англиското првенство со минималната победа од 1:0 на гости против Фулам во последниот натпревар од саботната програма од 8-то ...
ФОТО| Карамбол на Партизанска, веројатно поради пребрзо возење
Тешка сообраќајна несреќа се случи вечерва на булеварот „Партизански одреди“, изестува порталот Фактор, прецизирајќи дека инцидентот се случил во непосредна близина на местото каде што загина младата ...
Хемикалијата „бисфенол А“ е откриена во бебешки цуцли на четири европски брендови
Лабораториските испитувања на чешката организација на потрошувачи „dTest“ открија присуство на хемикалијата бисфенол А (БПА), поврзана со нарушување на половите хормони, дебелина и зголемен ризик од р...
Италијанскиот извоз и увоз намалени во август
Италијанскиот извоз и увоз се намалија во август, што одразува значително забавување на трговијата со земјите надвор од Европската унија, покажаа податоците од статистичката служба ISTAT.Според сезонс...
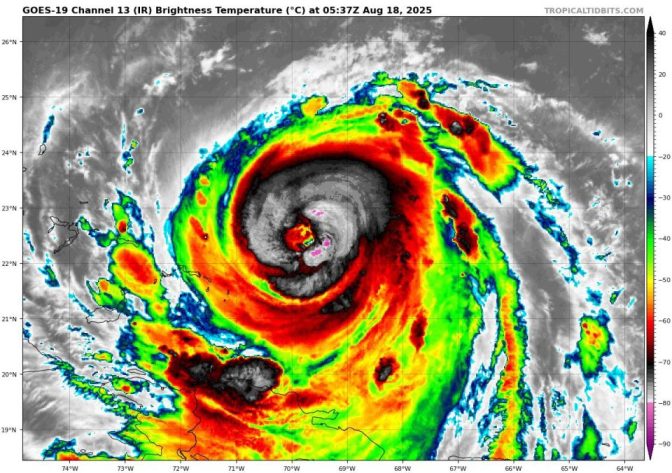
Десетици илјади луѓе евакуирани на Филипините поради ураганот „Феншен“
Десетици илјади луѓе на Филипините се евакуирани денеска од своите домови на брегот на Пацификот поради опасност од поплави во момент кога тропската бура „Феншен“ го зафати регионот, јавија светските ...
АТП Алмати: Медведев стигна до 40-то финале во кариерата, ќе игра против Муте
Леворакиот француски тенисер Корентен Муте (АТП-41-ви) ќе се бори против Русинот Данил Медведев (АТП-14-ти) во неделното финале за победничкиот трофеј на АТП 250 турнирот во казахстансктата метропола ...
























